Comentari guardat!
Només ho veuràs tú
Comment saved!
Afegeix la teva valoració i/o un comentari per aquest anunci. Només el veuràs tu

Casa amb aparcament a Vilasantar

LOUSA (BARBEITO)

  • 205 m2
  • 4 hab.
  • 2 banys
  • 634 €/m2

Se vende casa pareada con fincas en Barbeito Vilasantar

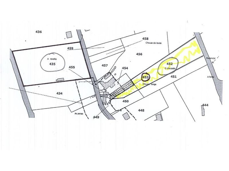
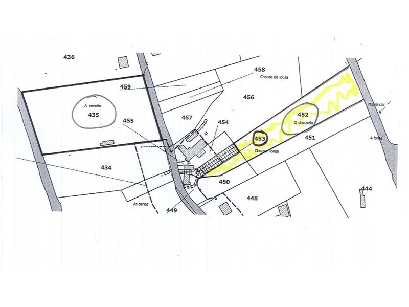
Barbeito casa de dos plantas, planta alta compuesta de 4 dormitorios y baño, planta baja salón, cocina y baño con acceso a garaje, amueblada. La casa y garaje tienen unos 300 metros construidos en una finca de 450 metros cuadrados.

La casa tiene anejas dos fincas 7.900 metros cuadrados y otra finca frente a la casa de 12.000 metros cuadrados en la carretera principal.


? Distribución de la vivienda:

?? Planta baja:

Sala de estar

Cocina bilbaína y eléctrica

Baño completo con ducha

Bodega

Acceso directo a jardín delantero y trasero

?? Primera planta:

Amplio hall distribuidor

4 habitaciones

Baño con ducha

? Características adicionales:

Suelos de terrazo en toda la vivienda

Ventanas de aluminio en planta superior y PVC en planta baja

Radiadores eléctricos

Escaleras interiores

Garaje y almacén en la parte trasera de la casa

Tejado nuevo con teja

Fosa séptica y agua de traída municipal

?? La vivienda limita con una finca de más de 12.000 m² y frente a ella se encuentra otra finca de dimensiones similares, lo que proporciona un entorno natural, despejado y tranquilo.

? Ideal como vivienda habitual o casa de descanso, lista para entrar a vivir.

?? ¡No dejes pasar esta oportunidad de vivir rodeado de naturaleza con todas las comodidades!

?? Contáctanos para más información o concertar una visita.

última modificació

Distribució

  • 4 habitacions
  • Superfície 205 m2
  • Terreny 12000 m2
  • 2 banys

Característiques generals

  • Plaça aparcament
  • Certificat energètic :
    Consumo:
    G
    999 kW h m2 / año
    Emisiones:
    G
    999 kg CO2 m2 / año
Anunci: 32324000000538

Ubicació

LOUSA (BARBEITO)

Navega pel mapa fent clic a sobre
130.000 € Preu de l´anunci
1.559 €/m2€/m2 comarca
634 €/m2€/m2 de l´anunci
59% més econòmic que la mitja*
Veure evolució €/m2 a Vilasantar
T´avisem quan tinguem un anunci com aquest? Crea la teva alerta i nosaltres t´avisarem per correu electrònic quan hi hagin nous anuncis o siguin modificats
 

Contactar JCV MONTAJES Y SERVICIOS

Referència de l´anunci habitaclia/0536-SIN:

Veuràs el telèfon després d´enviar el contacte a l´anunciant perquè et pugui atendre.
Veuràs el telèfon després de contactar
Enviant…