Comentari guardat!
Només ho veuràs tú
Comment saved!
Afegeix la teva valoració i/o un comentari per aquest anunci. Només el veuràs tu
39.000 € Avisa´m si baixa
ha baixat 7.000 €

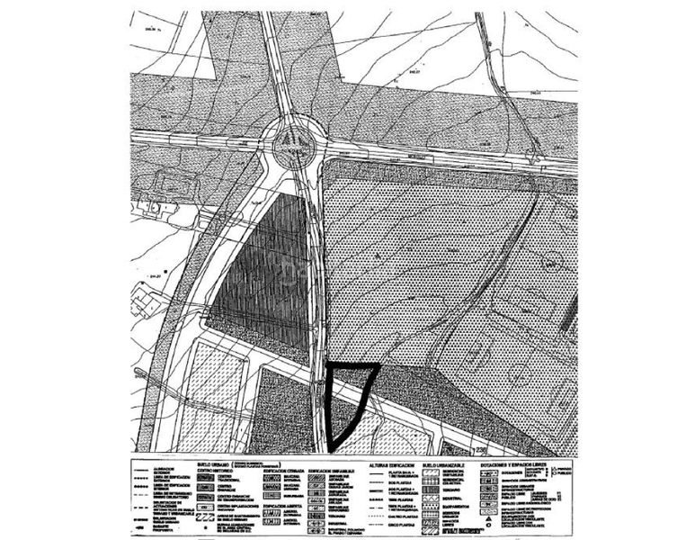
Terreny residencial a Norte Mérida

del Lago

  • 2.095 m2
  • 19 €/m2

NO COBRAMOS COMISIÓN DE INTERMEDIACIÓN AL COMPRADOR

Excelente oportunidad de adquirir este suelo urbanizable residencial ubicado en Mérida (Badajoz).

Muy bien comunicado en una de las vías principales de acceso a Mérida. A pocos metros del Anfiteatro y Estadio Romano. Entre los principales puntos de interés se encuentra el conjunto arqueológico de Mérida, declarado Patrimonio de la Humanidad. Este conjunto incluye el Teatro Romano, el Anfiteatro Romano, el Circo Romano y el Puente Romano. Además de su patrimonio romano, cuenta con otros atractivos, como la Alcazaba Árabe, un imponente castillo que domina el paisaje urbano, y la Basílica de Santa Eulalia, un magnífico ejemplo de arquitectura visigoda. La ciudad también alberga diversos museos, como el Museo Nacional de Arte Romano, que exhibe una importante colección de arte y objetos romanos. Dispone de todos los servicios públicos o privados necesarios como pequeño comercio de proximidad, supermercados, centros educativos y gran oferta gastronómica.

- Residencial (viviendas protegidas): 3ud. - 272,48m²
- Residencial (viviendas libres de primera residencia): 4ud. - 408,70m²
- Alturas permitidas: 5 alturas en bloques plurifamiliares exentos, 2 alturas sobre rasante en viviendas unifamiliares adosadas y 1 planta bajo rasante para aparcamiento.

- Referencia catastral: 9828703QD2192N0001SF

Hipoges es una plataforma inmobiliaria donde podrás acceder a miles de activos inmobiliarios de diferentes tipos como viviendas, locales comerciales, terrenos, nueva obra, tanto a nivel particular como para inversores. Hipoges cuenta con una amplia cartera de activos inmuebles tanto en España como en Portugal y Grecia.

¿Necesitas financiación? Te ofrecemos la posibilidad de financiaciones de hasta el 100% para la compra de este inmueble. Entra en Finanwin.com, haz tu simulación y obtén la mejor oferta para tu Hipoteca de la manera más ágil y sencilla.

última modificació

Distribució

  • Superfície 2095 m2
Anunci: 52789000003777

Ubicació

Norte del Lago

Navega pel mapa fent clic a sobre
T´avisem quan tinguem un anunci com aquest? Crea la teva alerta i nosaltres t´avisarem per correu electrònic quan hi hagin nous anuncis o siguin modificats
 

Contactar Hipoges

Referència de l´anunci habitaclia/SBRE-0180156 :

Veuràs el telèfon després d´enviar el contacte a l´anunciant perquè et pugui atendre.
Veuràs el telèfon després de contactar
Enviant…