Comentari guardat!
Només ho veuràs tú
Comment saved!
Añade tu valoración y/o un comentario para este anuncio. Sólo lo verás tú

Finca rústica a n/a 83 a Sauzal (El)

N/A 83

  • 473 m2
  • 391 €/m2

en El Sauzal

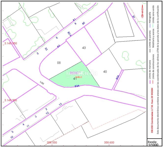
Se vende terreno urbano en la Urbanización El Puertito, en el municipio de El Sauzal, una de las zonas residenciales más tranquilas y valoradas del norte de Tenerife.
La parcela cuenta con 473 m² y se encuentra en esquina, en una calle muy tranquila. Es ideal tanto para construir una vivienda con piscina como una casa más amplia con jardín.
El terreno ofrece vistas panorámicas al mar y a la costa norte de la isla, además de una excelente orientación que garantiza luz natural durante todo el día.
Según el Plan General de Ordenación Urbana de El Sauzal, la parcela está clasificada como Suelo Urbano Consolidado (SUCO), con tipología Ciudad Jardín CJf(2).
Condiciones urbanísticas principales:
• Superficie total: 473 m²
• Ocupación máxima: 30 %
• Coeficiente de edificabilidad: 0,50 m²/m²
• Altura máxima: 2 plantas / 7 metros
• Superficie mínima de parcela: 400 m²
• Retranqueos mínimos: 3 metros (frontal, lateral y posterior)
• IBI anual: 179 €
Ubicada en una urbanización consolidada y con todos los servicios, ofrece un entorno seguro, rodeado de naturaleza y con fácil acceso a la autopista y al centro de El Sauzal.
Una oportunidad excepcional para quienes desean construir una vivienda exclusiva con vistas al mar, en un entorno sereno y bien comunicado.
Referencia Asten Realty 9938.

última modificació

Distribució

  • Superfície 473 m2
Anunci: 33446000004317

Ubicació

N/A 83

Navega pel mapa fent clic a sobre
T´avisem quan tinguem un anunci com aquest? Crea la teva alerta i nosaltres t´avisarem per correu electrònic quan hi hagin nous anuncis o siguin modificats
 

Contactar Asten Realty

Referència de l´anunci habitaclia/9938:

Veuràs el telèfon després d´enviar el contacte a l´anunciant perquè et pugui atendre.
Veuràs el telèfon després de contactar
Enviant…