Comentari guardat!
Només ho veuràs tú
Comment saved!
Afegeix la teva valoració i/o un comentari per aquest anunci. Només el veuràs tu

Terreny residencial a Sant miquel Granollers

  • 381 m2
  • 984 €/m2

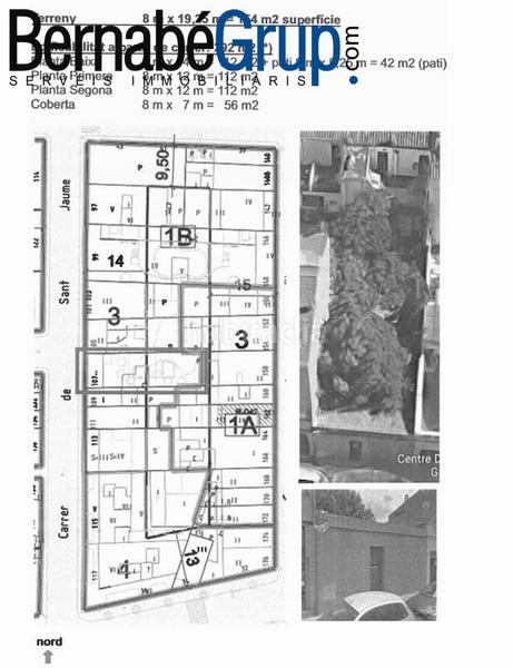
SOLAR IDEAL CASA UNIFAMILIAR. CENTRO GRANOLLERS

Solar Situado en la zona centro de Granollers.
Superficie gráfica de 158 m², con posibilidad de construir planta baja, primera planta, segunda planta y altillo.
Patio posterior de 45 m².
Si quiere construir su casa ideal, a pocos minutos del corazón de Granollers, llámenos para pedirnos mas información.

Demanar més dades a l´anunciant

última modificació

Distribució

  • Superfície 381 m2
Anunci: 4900004389391

Ubicació

Sant miquel Carrer de Sant Jaume

Navega pel mapa fent clic a sobre
T´avisem quan tinguem un anunci com aquest? Crea la teva alerta i nosaltres t´avisarem per correu electrònic quan hi hagin nous anuncis o siguin modificats
 

Contactar BernabéGrup

Referència de l´anunci habitaclia/1204:

Veuràs el telèfon després d´enviar el contacte a l´anunciant perquè et pugui atendre.
Veuràs el telèfon després de contactar
Enviant…