Favorito y comentario
Terreny residencial a Can Pei Sitges
Característiques principals
- 1.331 m2
- 676 €/m2
Informació detallada
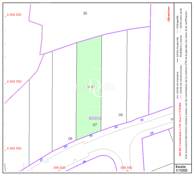
Parcela de 1331 m2 en venta en Can Pei, Sitges
Parcela sujeta a la normativa 16ª del POUM Sitges.
ZONA 16a*. Zona ciutat jardí extensiva.
Tipus d?edificació: Edificació unifamiliar aïllada, envoltada d?espai lliure d?ús privat.
Parcel·la mínima: 1.200 m2.
Façana mínima: 20 m.
Ocupació de l?edif.: Unifamiliar, un 20% màxim.
Edificacions auxiliars, un 5% no inclos en el 20%.
Intensitat neta d?edificació: 0,35 m2 sostre/ m2 de sol.
Densitat neta d?habitatges: 1 habitatge/1.200 m2 de solar.
Altura reg. màxima: Edif. principal:11 m. inclos l?àtic (Planta baixa més una planta pis més àtic de superfície idèntica al 50% de la planta pis).
Edif. auxiliars: 3,00 m. (Planta baixa).
Separacions mínimes: Al carrer: 10 m. planta baixa.
A veïns: 5 m. Les edificacions auxiliars, també.
Pendent màx. coberta: 30%.
Aparcaments: Garatge privat obligatori a l?interior de cada parcel·la amb una capacitat d?un cotxe per habitatge o per cada 100 m2 de fracció d?edificació.
Usos i instal·lacions: L?habitatge , l?estacionament de vehícles, l?ús recreatiu, i l?esportiu privat. Tots els usos no esmentats queden expressament prohibits.
última modificació
Distribució
- Superfície 1331 m2
Galeria
Ubicació
Can Pei
