Comentari guardat!
Només ho veuràs tú
Comment saved!
Afegeix la teva valoració i/o un comentari per aquest anunci. Només el veuràs tu

Terreny residencial a carrer del mas ferriol 1 a Sabadell

  • 396 m2
  • 1.515 €/m2

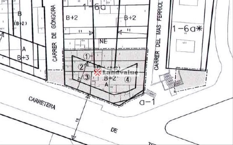
Solar de uso multifamiliar con obra parada con una superficie de 395,56 m2s y una edificabilidad de 1.777 m2e.

PB+3PP+BC + 3 sótanos, compuesta por 17 viviendas, 27 garajes y 23 trasteros en total. No existe DH inscrita. Según nota simple la superficie sobre rasante es de 1.852,33 m² y bajo rasante de 1.037,18 m². La superficie de la parcela según Catastro es 381,51 m². Se dispone del 100% de las cuotas de participación en la DH. Se estima un avance de obra de un 14 %.

Referencia Catastral: 4501019DG2040A0001QM, 4501021DG2040A0001GM, 4501020DG2040A0001YM

Las parcelas han sido objeto de una modificación puntual del planeamiento general con el fin de regularizar las diferencias de niveles existentes entre la calle de Tarrasa y sus calles confluentes, conllevando la aprobación de 2 proyectos de reparcelación (PA1 y PA2). Esto motivó la firma de un convenio entre la propiedad y el Ayuntamiento de Sabadell (convenio C-90) con el fin de contribuir a los costes de urbanización.

Proyecto de edificio en testera con una sola escalera comunitaria formado por 3 plantas sótano de uso aparcamiento y trasteros con acceso de vehículos a través de un montacoches, planta baja con altillo de uso comercial y planta primera, segunda, tercera y bajo cubierta de uso residencial. Existencia de un convenio según informe técnico en el que se definen las cargas urbanísticas de las parcelas, derivado de la modificación del Plan General, identifica obligaciones y condicionantes que afectan a la ejecución de la urbanización de un tramo de la calle Góngora.

última modificació

Distribució

  • Superfície 396 m2
Anunci: 29188000006018

Ubicació

Serra d'en Camaró Carrer del Mas Ferriol 1

Navega pel mapa fent clic a sobre
T´avisem quan tinguem un anunci com aquest? Crea la teva alerta i nosaltres t´avisarem per correu electrònic quan hi hagin nous anuncis o siguin modificats
 

Contactar LANDVALUE

Referència de l´anunci habitaclia/54481:

Veuràs el telèfon després d´enviar el contacte a l´anunciant perquè et pugui atendre.
Veuràs el telèfon després de contactar
Enviant…