Comentari guardat!
Només ho veuràs tú
Comment saved!
Afegeix la teva valoració i/o un comentari per aquest anunci. Només el veuràs tu

Terreny residencial a Centre Granollers

  • 381 m2
  • 1.042 €/m2

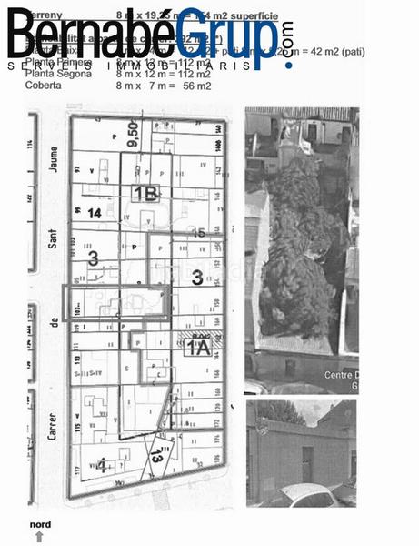
SOLAR IDEAL CASA UNIFAMILIAR. CENTRE GRANOLLERS

Solar Situat a la zona centre de Granollers. Superfície gràfica de 158 m², amb possibilitat de construir planta baixa, primera planta, segona planta i altell. Pati posterior de 45 m². Si voleu construir la vostra casa ideal, a pocs minuts del cor de Granollers, truqueu-nos per demanar-nos més informació.

Demanar més dades a l´anunciant

última modificació

Distribució

  • Superfície 381 m2
Anunci: 4900004389331

Ubicació

Centre Carrer de Sant Jaume

Navega pel mapa fent clic a sobre
T´avisem quan tinguem un anunci com aquest? Crea la teva alerta i nosaltres t´avisarem per correu electrònic quan hi hagin nous anuncis o siguin modificats
 

Contactar BernabéGrup

Referència de l´anunci habitaclia/152:

Veuràs el telèfon després d´enviar el contacte a l´anunciant perquè et pugui atendre.
Veuràs el telèfon després de contactar
Enviant…