Favorito y comentario
Lloguer local comercial a Can Llong Sabadell
Característiques principals
- 98 m2
- 6,12 €/m2
Informació detallada
ALQUILER LOCAL COMERCIAL EN CAN LLONG!!
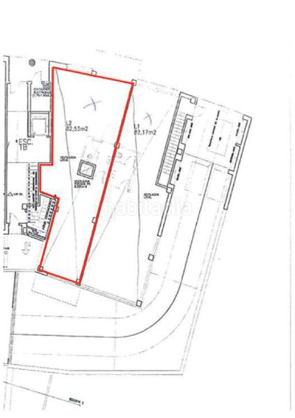
Solespai presenta 2 Locales comerciales de origen en alquiler , situado en la planta baja de un edificio residencial en la zona de Can Llong (Sabadell).
Una de las mejores zonas de Sabadell, próximo a las zonas más comerciales y transitadas de la zona, a su alrededor podemos encontrar todos los servicios necesarios, (transporte público, centro médico, supermercados, farmacias, restaurantes, zonas verdes...)
Cada local consta de una sola planta, disponen de 97m2 construidos (Verificación Dirección General de Catastro).
Uno de los locales tiene una fachada de 6,5m y el otro tiene 4,5m de fachada
Construcción del año 2004.
Se alquilan individualmente, con 4 meses de carencia.
Para más información no dudes en contactar con nosotros te informaremos sin ningún compromiso.
SOLESPAI le ofrece asesoramiento gratuito y sin compromiso en las gestiones para la obtención de la Hipoteca.
Tramitamos Cédulas de habitabilidad y CEE (Certificados energéticos).
Realizamos ITE edificios (Inspección técnicas edificios para la obtención del certificado a Aptitud de la Generalitat de Catalunya).
última modificació
Distribució
- Superfície 98 m2
Característiques generals
- Any construcció 2004
Galeria
Ubicació
Can Llong